sauk rapids industrial land
1660 13th Ave NE, Sauk Rapids, MN, Benton 56379
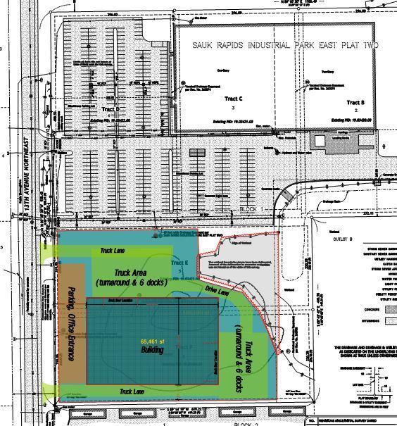
Development Land
Added:
2019-07-18
Updated:
2022-01-24
Active Call broker for details
Being next to Pinnacle Climate Technologies this land offers the ability for the future owner to be next to a high level business. Current owner will also Design/Build on the site to lease back to the future tenant.
Documents
Sale Brochure


